News   Mar 23, 2026
 833     1 
News   Mar 23, 2026
 1.4K     0 
News   Mar 23, 2026
 1.2K     0 

St Lawrence Market

There were many brick warehouses in St Lawrence, this one (photo from 1972) is certainly not the best example. I think this one at King & Princess, south-west corner, is rather nice myself but it is, of course, demolished. (In about 2010).

princess-king-sw.jpg

There was also a corner stone on the building (which may be visible on the photo above), though I never remember seeing it and it may have vanished when the building became a self-storage warehouse after the photo above was taken. This one is dated 1978
royal corners.jpg
.
 
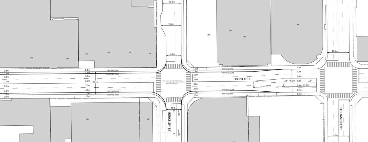
In a report to the January 6th meeting of TEYCC plans and brought forth to widen the narrow sidewalks along Front from Sherbourne to Parliament.

This will be done largely by narrowing the existing vehicle lanes and by reducing the size of some turning lanes.

No through lanes are proposed for removal.

This will result in about 2.5M of new sidewalk width total across the 2 sides of the street with allocations varying based on existing size and current and projected demand.

Report here: http://app.toronto.ca/tmmis/viewAgendaItemHistory.do?item=2022.TE30.17

New layout here: https://www.toronto.ca/legdocs/mmis/2022/te/bgrd/backgroundfile-174421.pdf

From the above, I will bring forward the image, somewhat enlarged (and divided).

You can see the additional sidewalk space demarcated next to the curbs.

1639683058787.png


1639683098908.png
 
In a report to the January 6th meeting of TEYCC plans and brought forth to widen the narrow sidewalks along Front from Sherbourne to Parliament.

This will be done largely by narrowing the existing vehicle lanes and by reducing the size of some turning lanes.

No through lanes are proposed for removal.

This will result in about 2.5M of new sidewalk width total across the 2 sides of the street with allocations varying based on existing size and current and projected demand.

Report here: http://app.toronto.ca/tmmis/viewAgendaItemHistory.do?item=2022.TE30.17

New layout here: https://www.toronto.ca/legdocs/mmis/2022/te/bgrd/backgroundfile-174421.pdf

From the above, I will bring forward the image, somewhat enlarged (and divided).

You can see the additional sidewalk space demarcated next to the curbs.

View attachment 369618

View attachment 369619
Worth adding that the Report also says that they studied from George to Parliament and the blocks from George to Fredrick and Frederick to Sherbourne will be looked at by the BIA. Apart from the, in-process, 158 Front development there are no developments on these two blocks (which have very narrow sidewalks on both sides) so it's good to have the BIA dealing with them - ideally in conjunction with the SLNA.
 
While that would be 'nice' I think the priority is wider sidewalks and you really could not widen both sidewalks AND have a median.

Wider sidewalks definitely come first.

If, as I expect, the City moves to eliminate one lane of Front east of Yonge in the near to medium term future, it may be possible to consider further lane reduction here, at which point one could weigh the relative benefit of cycle tracks vs a median.

But this is a first, important, step.
 
Check out the new concrete and steel barriers used to protect the super long streetcar rails stored on Wellington St. W between Bay and Yonge. They were supposed to be installed last summer but the master street project was delayed again until 2022.
Union Station must be nervous that they might get some hand-me-downs next summer..
6073D6BD-4AFC-4E5D-967D-FAEEA5038DEB.jpeg


B0B3E92A-C0EE-46A0-AA59-D0972179B0E4.jpeg
 
SLNA will have another ReMarket day on Thu 10 Feb 2022.
Remarket2022.jpg





In 2021, our REmarket was a much larger event over two days.

Despite the pandemic, it was a huge success.

REmarket diverted over 50 skids of usable items from being thrown in the garbage. That is almost 20,000 pounds of diverted waste!

The Salvation Army picked up 45 skids, Renewed Computer Technologies (RCT) picked up 6 skids of electronics and Homes First picked up 1 skid of donations for 45 the Esplanade.

We also had volunteer fixers from the Repair Café repairing household items and volunteers from Charlie’s Freewheels repairing and tuning up bicycles. We are very excited that we were able to include Repairs in addition to collecting donations and hope to continue this in future events!

The WRG has big plans for 2022.

We are planning a REmarket Donation Day that will take place on Thursday, February 10, 2022.

Don’t throw out your usable goods! Save them for our REmarket.
 
DSC, I address this to you since you're always in the know. Northern Light, you're in the know too.

The Market was supposed to do a trial run of more reasonable hours -- i.e., later evening hours and open Sundays -- and then COVID hit. Any word if / when this will be moving forward? Thx.

(It may have been a permanent change rather than a trial.)
 
Last edited:
I think at one point they said on twitter that they were going ahead with the Sunday hours, but I haven't seen anything further. Sunday hours and a little bit more early evening opening time would be hugely welcomed by people in the neighbourhood, I'm sure.
 
DSC, I address this to you since you're always in the know. Northern Light, you're in the know too.

The Market was supposed to do a trial run of more reasonable hours -- i.e., later evening hours and open Sundays -- and then COVID hit. Any word if / when this will be moving forward? Thx.

(It may have been a permanent change rather than a trial.)
They were poised to open Sundays and later on, if I remember right, Thursday & Friday evenings and not open at 5am on Saturdays. Then covid arrived. I understand that some of the merchants (who never liked the idea of any change) are now fighting a rear-guard action to do nothing but I think the City ARE still planning better hours starting in 'the spring'. The current hours are really not very suitable and though I have some sympathy for the 'mom and pop' stores the hours they were discussing still gave people one full day a week (Monday) off. If you want better hours you can contact the Market manager or Wong-Tam and say so. There is also a citizen/representative group that advises the City on the "Market Precinct' - last I read they are in favour of longer hours too. (SEE: https://www.toronto.ca/services-pay...-lawrence-market-precinct-advisory-committee/ )
 
They were poised to open Sundays and later on, if I remember right, Thursday & Friday evenings and not open at 5am on Saturdays. Then covid arrived.
Thanks for this update. The timing on this was terrible, after such a long struggle to get the hours finally increased. In the short term, if they could just extend the weekday closing hour a tiny bit, say from 5pm to 6pm, that would make a huge difference for locals. I am fortunate to work from home, which means I can occasionally pop out during 9-5 work hours if I'm not too busy, but not always. As a result I've been visiting the market a lot less over the past year than before. I'm probably not the only one.
 

Back
Top