Toronto Leslie Lookout Park | CreateTO | CCxA

Getting excited! From CreateTO’s IG:

IMG_8425.jpeg

IMG_8424.jpeg
IMG_8423.jpeg
IMG_8422.jpeg
 
Last edited:
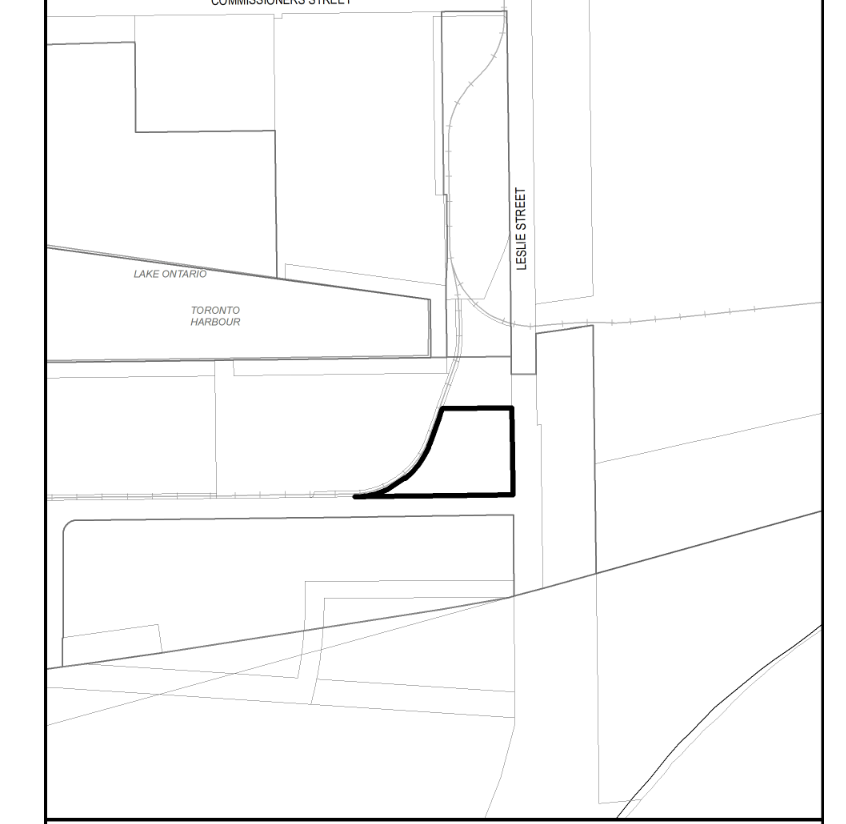
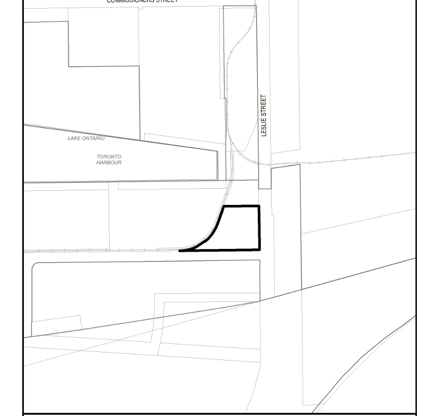
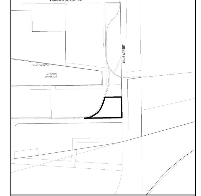
Not quite open yet, but a report concerning an interim control by-law headed to the next meeting of TEYCC applies to land that will form a future ~2 acre expansion of this park.


Below, the bolded is property in question which lies to the immediate south of the newly constructed park:

View attachment 595966
I can always count on you to provide good news! I wI’ll look to see how large this parcel is as it could be bigger than Leslie Lookout.

•.85H or 2.1 acres
•two buildings on-site that will continue to be used for media/arts.
 
Last edited:
Where is this park exactly?
You can always go to the Database box at the top of a page for the address, or click on the title and go to the Database page where there's a map that locates generally within the city. Click on the map, and you get a close-up.

42
 
City of Toronto Media Relations has issued the following:
==========================================

Media Advisory

September 13, 2024

City of Toronto and CreateTO to open a new park

Tomorrow, Mayor Olivia Chow will be joined by Councillor Paula Fletcher (Toronto-Danforth) and representatives from CreateTO for the grand opening of the City of Toronto’s newest gem, Leslie Lookout Park.

Date: Saturday, September 14
Time: 10 a.m.
Location: 12 Leslie St., just north of the entrance to Tommy Thompson Park
Parking: Street parking is available on Leslie Street and Unwin Avenue
RSVP: Media representatives are requested to RSVP to media@toronto.ca by 5 p.m. on Friday, September 13

This waterfront site holds Indigenous significance, and the ceremony and remarks will be held in a circle surrounding a sacred fire with an opening invocation and song. To ensure that this portion is respected and handled with the sensitivity it deserves, the City requests that no filming or recording take place during this segment of the event.

Toronto is home to more than three million people whose diversity and experiences make this great city Canada’s leading economic engine and one of the world’s most diverse and livable cities. As the fourth largest city in North America, Toronto is a global leader in technology, finance, film, music, culture, innovation and climate action, and consistently places at the top of international rankings due to investments championed by its government, residents and businesses. For more information visit www.toronto.ca or follow us on X at www.x.com/CityofToronto, on Instagram at www.instagram.com/cityofto or on Facebook at www.facebook.com/cityofto.

- 30 -

Media contact: Media Relations, media@toronto.ca
 

Back
Top